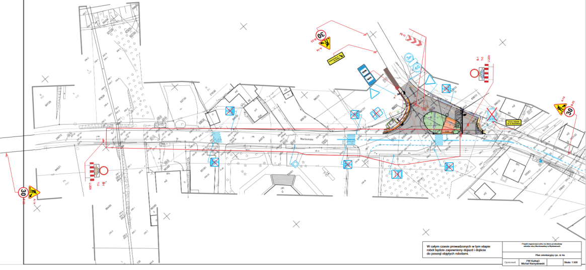
,,Przebudowa dróg w Mysłowicach: ul. Murckowska i ul. Graniczna'' - Część I - ul. Murckowska

W związku z realizacją ww. zadania inwestycyjnego Wykonawca zadania tj. Konsorcjum firm: Opitek Sp. z o.o. + Usługi Transportowe Opitek Henryk + Przedsiębiorstwo Wielobranżowe ,,KaNaD'' Michał Namysłowski informuje, iż od piątku tj. 10.04.2026 r. nastąpi wprowadzenie tymczasowej organizacji ruchu zgodnie z założeniami zatwierdzonego Projektu Tymczasowej Organizacji Ruchu na czas prowadzenia robót budowlanych. Wdrożony zostanie schemat oznakowania - nr 4a.
W związku z powyższym na wyłączony odcinek drogi wjazd będą mieli jedynie mieszkańcy posesji znajdujących się na tym odcinku. Jednocześnie, z uwagi na prowadzone prace bezpośredni wjazd na posesje (zjazdami indywidualnymi) będzie utrudniony lub wręcz niemożliwy. W przypadku braku możliwości wjazdu, zainteresowanym zostanie wskazane miejsce pozostawienia samochodów. Mieszkańcy pozostałych posesji oraz pozostali kierowcy muszą stosować się do znaków objazdu.
Przystanek autobusowy zgodnie z uzgodnieniem ZTM zostanie przeniesiony ok. 30 m w kierunku ul. Krasowskiej, natomiast ruch autobusowy zostanie utrzymany.

Za utrudnienia przepraszamy.

Projekt organizacji ruchu na czas przebudowy ul. Murckowskiej w Mysłowicach. Plan nr 4a. Zapewniony dojazd i dojścia do posesji objętych robotami.